Spermatophytes (seed plants): Angiosperms (flowering plants): Eudicots: Core Eudicots: Asterids: Campanulids: Asterales
WEAKLEY'S FLORA OF THE SOUTHEASTERN US (4/14/23):
Eutrochium fistulosum
FAMILY
Asteraceae__
Go to FSUS key
Dig deeper at SERNEC, a consortium of southeastern herbaria.
Read more about Hollow-stem Joe Pye Weed at Vascular Plants of North Carolina.
SYNONYMOUS WITH
PLANTS NATIONAL DATABASE:
Eutrochium fistulosum
FAMILY
Asteraceae__
SYNONYMOUS WITH Floristic Synthesis of North America. BONAP (Kartesz, 2021)
Eutrochium fistulosum
SYNONYMOUS WITH Flora of North America north of Mexico, vol. 19-20-21 (2006)
Eutrochium fistulosum
SYNONYMOUS WITH Phylogeny & biogeography of Eupatorium (Schmidt & Schilling, 2000)
Eupatoriadelphus fistulosus
SYNONYMOUS WITH Floristic Synthesis of North America (Kartesz, 1999)
Eupatorium fistulosum
SYNONYMOUS WITH Aquatic & Wetland Plants of Southeastern US (Godfrey & Wooten, 1979 & 1981)
Eupatoriadelphus fistulosus
SYNONYMOUS WITH VASCULAR FLORA OF THE CAROLINAS (Radford, Ahles, & Bell, 1968) 179-34-003:
Eupatorium fistulosum FAMILY Asteraceae__
SYNONYMOUS WITH (MISAPPLIED) Manual of the Southeastern Flora (Small, 1933, 1938)
Eupatorium maculatum
COMMON NAME:
Hollow-stem Joe-pye-weed
To see larger pictures, click or hover over the thumbnails.
JK Marlow jkm0305t_03
May Haywood County NC
Corneille Bryan Native Garden
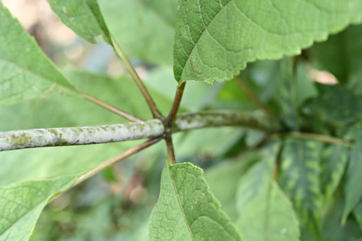
Leaves are blunt-toothed and in whorls of 4-7, per Wildflowers of the Southern Mountains (Smith, 1998).
COMPARE
leaves of Joe Pye Weed species
JK Marlow jkm080503_007
May Greenville County SC
Tall Pines Wildlife Management Area
Stems hollow, per Vascular Flora of the Carolinas (Radford, Ahles, & Bell, 1968).
JK Marlow jkm200525_5284
May Greenville County SC
Tall Pines Wildlife Management Area
It must be an especially tasty treat!
JK Marlow jkm0407i_29
July Haywood County NC
Corneille Bryan Native Garden
Stem covered with a whitish bloom, per Newcomb's Wildflower Guide (Newcomb, 1977).
COMPARE
stems of Joe Pye Weed species
JK Marlow jkm060717_039
July Greenville County SC
Roadside/creekside
A glaucous, hollow stem tinged with purple throughout, per Wildflowers of the Southern Mountains (Smith, 1998).
JK Marlow jkm060723_121
July Transylvania County NC
Blue Ridge Parkway
Leaves in whorls of 3-7 (avg 5), per Weakley's Flora.
JK Marlow jkm060723_126
July Transylvania County NC
Blue Ridge Parkway
Stem strongly glaucous when fresh, per Weakley's Flora.
JK Marlow jkm190719_9946
July Transylvania County NC
Pisgah National Forest: Pisgah Ranger District
Flowers all discoid (no ray flowers), per Vascular Flora of the Carolinas (Radford, Ahles, & Bell, 1968).
JK Marlow jkm0108b_34
August Oconee County SC
Oconee Station/Station Cove
Flowers bright pink-purple, inflorescence rounded, per Weakley's Flora.
JK Marlow jkm0408j_19
August Oconee County SC
A happy medley of many species: Joe-pye in the upper middle and right.
JK Marlow jkm231013_6031
October Spartanburg County SC
Stems to 10' tall, per Guide to the Wildflowers of SC, 2nd ed. (McMillan, Porcher, Rayner, & White; 2022).
WEAKLEY'S FLORA OF THE SOUTHEASTERN US (4/14/23):
Eutrochium fistulosum
FAMILY
Asteraceae__
SYNONYMOUS WITH
PLANTS NATIONAL DATABASE:
Eutrochium fistulosum
FAMILY
Asteraceae__
SYNONYMOUS WITH
Floristic Synthesis of North America. BONAP (Kartesz, 2021)
Eutrochium fistulosum
SYNONYMOUS WITH
Flora of North America north of Mexico, vol. 19-20-21
Eutrochium fistulosum
SYNONYMOUS WITH
Phylogeny & biogeography of Eupatorium (Schmidt & Schilling, 2000)
Eupatoriadelphus fistulosus
SYNONYMOUS WITH
Floristic Synthesis of North America (Kartesz, 1999)
Eupatorium fistulosum
SYNONYMOUS WITH
Aquatic & Wetland Plants of Southeastern US (Godfrey & Wooten, 1979 & 1981)
Eupatoriadelphus fistulosus
SYNONYMOUS WITH
VASCULAR FLORA OF THE CAROLINAS (Radford, Ahles, & Bell, 1968) 179-34-003:
Eupatorium fistulosum
FAMILY
Asteraceae__
SYNONYMOUS WITH (MISAPPLIED)
Manual of the Southeastern Flora (Small, 1933, 1938)
Eupatorium maculatum
If a search such as "Carex leptalea var. leptalea" doesn't deliver the results you want, try "Carex leptalea".
Or, to minimize chances of a misspelling, try just "Carex le".
Less is more: If "pencil flower" doesn't deliver the results you want, try "pencil".






























